09.04.2023 – 17.04.2023
Alweer een rit door groene heuvellandschappen. En hoe mooi die palmbomen ook, te bedenken dat deze ooit oneindige stukken regenwoud waren. Een dubbel gevoel.



Aangekomen in Semporna en ingecheckt bij Timba Garden, gaan we de stad in om iets te eten. (We moeten hier snel zijn want met de Ramadan, Maleisië is een overwegend Moslim-land, zijn vele zaken gesloten of heel vroeg dicht. En hierdoor zijn er ook ellenlange files rond etenstijd. )
Een eerste aanblik is niet dat paradijselijke kuststadje waar we op gehoopt hadden. We krijgen eerder een vuile indruk. De eerste keer in Maleisië ook dat we geconfronteerd worden met bedelaars. Het doet ons terugdenken aan onze eerste stop in Albanië. Ook daar was een hoge concentratie zigeuners. Net zoals hier blijkbaar.
Bajau Laut, zee-zigeuners, wonen in houten paalwoningen gebouwd op het koraal. Vandaag zouden er nog een 3000tal overblijven rond Semporna. Niet dat we plots angstig zijn maar het is toch de eerste keer in al die maanden dat we onze spullen net iets beter in de gaten houden.






De volgende dag boeken we een dagtocht via de guesthouse. We vertrekken met de boot om 9u. Eerste stop, Timba Timba island. Een witte strandstrook in een helderblauwe zee. Waauw! Hier kunnen we wel even toeven. En dat denken al die anderen ook. 😂 Fotoreportages, tientallen drones, speciale outfits…en wij daartussen. 😎 Er zijn zelf speciale doorzichtige schelpen voorhanden om droog uit het heldere water te komen. We doen dan maar gewoon mee. Vanuit de juiste hoek lijken we alleen te zijn. 🙃








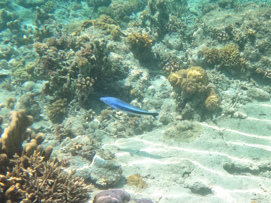
Op naar de snorkelplek. Deze keer goed voorbereid. We huurden een GoPro om jullie toch een beetje te kunnen laten mee genieten van die prachtige onderwater wereld. De intentie was er, het materiaal ook, de grote gekleurde vissen echter niet. De snorkelplek op Perhentian was zo veel mooier. Wel zagen we hier een schooltje Nemo’s verscholen in een wiegend stukje koraal. Hoe dan ook, een fijne snorkelsessie alweer en heerlijk zo’n dagje op het helderblauwe water.









Wel zeer verraderlijk want ondanks goed ingesmeerd lijken we wel twee kreeften. 🙄
Even de zon vermijden dus.


De volgende dagen verkennen we een beetje de omgeving, een korte wandeling naar de top van Parapat Hill met een mooi uitzicht over de baai. Een chocolademuseum (echt een flop!) en de grootste overdekte markt van Maleisië. Deze telt 2 verdiepingen en wel 6000 stalletjes volgens het www. Van verse groenten en kruiden over massa’s gedroogde vis.
















Voor we terugkeren naar Kota Kinabalu plannen we nog 3 dagen in Ranau, het dorp aan de voet van Mount Kinabalu. We hebben niet echt de intentie om hem te beklimmen, dit kost €360 per persoon, maar wel om in de omgeving te wandelen. Helaas Pindakaas. Het weer zit ons niet mee. We zien letterlijk geen hand voor onze ogen na zonsopgang.






We checken vroeger uit om dan nog maar eens 2 dagen te niksen in Kota Kinabalu. Welgekomen want onze volgende bestemming, die trouwens al jaren bovenaan de lijst staat (de mijne althans), is niet zo spontaan en ongedwongen te bereizen als alle voorgaande merkten we al. Ook onze eigen fout door (wederom) niet voorbereid te zijn. 🙄 Het eerste probleem is het internationale rijbewijs. Het Belgische exemplaar is niet geldig in Japan. En de online aanvraag kan enkel gebeuren vanaf een IP adres in Japan. 🧐 En eens de aanvraag gedaan is het nog twee weken wachten. Dan maar bellen om te kijken of het sneller kan als we ons aanmelden in persoon. En daar gaat hij dan… De Bondt…like in James Bond, met de D van Dirk en de T van Tiffany. 🙈😂

Japan, we komen er aan!
Plaats een reactie